Actualités Météo

Ouragan Dorian : va-t-il épargner les côtes américaines ?

Par Régis CRÉPET, météorologue
mis à jour le

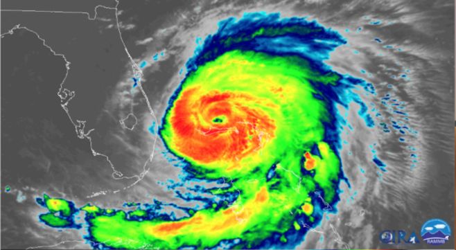
L'ouragan Dorian s'est acharné sur l'archipel des Bahamas avec une intensité historique. Désormais, la Floride reste sous la menace du passage de Dorian au large des côtes, dont l'impact reste encore incertain. Voici les facteurs qui peuvent influer sur sa trajectoire et son intensité.

© La Chaîne Météo

Les modèles de prévisions météorologiques à court terme envisagent toujours une bifurcation de l'ouragan Dorian à 90° vers le nord, après un très lent éloignement des Bahamas. A partir de ce mardi après-midi, les prochaines heures seront donc cruciales pour la Floride, dont le sort dépend de cette bifurcation prévue.

Une prévision d'intensité très délicate

Les prévisions de l'intensité d'un ouragan restent très délicates à élaborer, car elles dépendent de plusieurs facteurs météorologiques et océaniques. La température de l'eau, qui doit être égale ou supérieure à 27°C sur 60 mètres de profondeur, constitue le carburant, mais certaines conditions atmosphèriques doivent être requises pour que l'ouragan se développe et se maintienne.

Ce fut le cas pour Dorian en arrivant sur l'archipel des Bahamas dès dimanche après-midi, où il a rencontré un environnement météorologique favorable à son développement, et où il a connu une phase d'intensification explosive exceptionnelle.

Un autre paramètre atmosphèrique a toute son importance dans l'intensité d'un ouragan : il s'agit des vents en haute altitude. Un ouragan pourra se développer pleinement en l'absence de vent, ce qui permet l'ascendance de la masse d'air (courants ascendants) : ce facteur renforce l'instabilité et permet ensuite la naissance d'un mouvement rotatif de l'ensemble (naissance du phénomène cyclonique), car l'air chaud et humide remonte vers le sommet. En revanche, des vents trop forts en haute altitude (vers 10 000 m d'altitude) annihilent ce développement vertical, constituant alors un frein au développement et au renforcement de l'ouragan.

D'autre part, des vents d'altitude qui soufflent dans le sens contraire au déplacement de l'ouragan et surtout contre le sens du mouvement cyclonique rotatif vont constituer un facteur d'affaiblissement du phénomène : on parle alors de "cisaillement vertical de vent", ce qui signifie que les vents soufflent dans des directions différentes à plusieurs niveaux d'altitude. Redoutés des avions, ces cisaillements de vent ont pour effet de déstructurer l'oeil d'un ouragan, conduisant à son affaiblissement.

© La Chaîne Météo

La trajectoire : une prévision toute aussi délicate

Ensuite, la trajectoire initiale dépendait de deux facteurs : un anticyclone situé plus au nord, sur l'Atlantique, aurait pu empêcher la remontée de l'ouragan vers le nord, le forçant à se diriger sur la Floride, ce qui était prévu initialement. Puis, ces hautes pressions se sont rétractées vers le nord, offrant alors une possibilité à l'ouragan de remonter le long du littoral américain, évitant un impact sur les terres. Mais quoiqu'il en soit, les Bahamas n'ont pas échappé au pire en raison de la stagnation de l'ouragan en catégorie maximale 5/5 : le scénario du pire s'est donc produit pour ces îles. Par la suite, il n'est pas impossible que la stagnation de l'ouragan sur une même zone géographique puisse conduire désormais à son affaiblissement : en effet, le système s'est érodé temporairement sur place en tournant sur des zones constituées d'îles (les terres ont tendance à affaiblir les ouragans par un apport moindre d'humidité), et il a contribué à faire baisser la température de la mer par évaporation et par effet d'upwelling (brassage de la mer). Mais en reprenant sa route sur des eaux à nouveau plus chaude, on ne peut exclure que l'ouragan regagne légèrement en intensité.

© La Chaîne Météo

Risque de submersion littorale

A ce jour, l'ouragan est en phase de décélération tout en entamant son incurvation vers la droite, c'est à dire vers le nord. Si cette trajectoire se confirme, il épargnerait les terres américaines en longeant les côtes à une centaine de kilomètres, ce qui est très peu à l'échelle de cet ouragan majeur. Dans le cas le plus favorable, la côte sud-est (de la Floride à la Géorgie et à la Caroline du Sud) subirait la bordure de l'ouragan mais n'échapperait pas à la surcote et à la houle cyclonique, qui submergeraient ce littoral situé au niveau de la mer. Dans un cas plus défavorable, des pluies torrentielles et des tornades pourraient se produire au passage de l'ouragan en mer. Cette menace a conduit les autorités de Floride à diligenter des évacuations tandis que l'accès au bord de mer et aux plages est désormais interdit.

© La Chaîne Météo

Partagez cet article
À lire aussi
logo VIP
  • Paramètres premium
  • Bulletin détaillé sur 7 jours
  • Sans pub
  • TV Live et vidéos exclusives

Articles les plus lus