Actualités Météo

Explosivité et intensité : doit-on s'attendre à des ouragans plus violents avec le réchauffement climatique ?

Par Régis CRÉPET, météorologue
mis à jour le

L’intensification fulgurante de l’ouragan Melissa, passée en quelques heures d’un système majeur à un cyclone d’une puissance historique, illustre un phénomène de plus en plus observé. Ce caractère explosif semble plus fréquent ces dernières années, bien que le nombre d’ouragans ne soit pas en augmentation. Doit-on s’attendre à des ouragans plus violents avec le réchauffement climatique ?

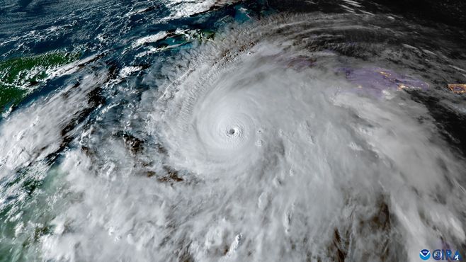
Ouragan Melissa au sud de la Jamaïque le 28 octobre © NOAA

À l’image de l’ouragan Beryl en 2024 et de l'ouragan Melissa en octobre 2025, plusieurs dizaines d’ouragans ont franchi la mer des Caraïbes depuis 1851 (pour le bassin Atlantique, on compte 971 ouragans jusqu’à novembre 2024). "Chaque ouragan de catégorie 5 qui a frappé ce pays [USA] au cours des 100 dernières années n’était une tempête tropicale que 3 jours [plus tôt] » selon le directeur du National Weather Service (USA). D'où ces ouragans tirent-ils leur intensification supplémentaire ?

Le changement climatique modifie les paramètres qui participent à leur formation et à leur évolution

Températures de surface de la mer plus chaudes : l’un des principaux mécanismes par lesquels le changement climatique affecte les ouragans est l'augmentation de la température de l'océan. Une étude publiée dans Nature en 2020 a révélé que les températures de surface de la mer ont augmenté de manière significative au cours des dernières décennies, fournissant ainsi plus d'énergie aux ouragans, ce qui peut les rendre plus intenses. En effet, les ouragans puisent leur énergie de la chaleur des océans, et des eaux plus chaudes peuvent entraîner des tempêtes plus puissantes avec des vents plus violents et des précipitations accrues. Ce constat est corroboré par une autre étude, menée par l'American Meteorological Society, qui montre aussi que la fréquence des ouragans majeurs de catégorie 4 et 5 a augmenté depuis les années 1980. Cette étude suggère que le réchauffement climatique est un facteur majeur de cette tendance.

Structure de l’atmosphère et cisaillement des vents : pour que l’atmosphère soit propice au développement des ouragans, les vents doivent être calmes en haute altitude, et de direction homogène. Un faible cisaillement permet en effet aux ouragans de se former en laissant monter la chaleur et l'humidité sans être dispersées. Cela favorise la concentration et l'organisation des orages nécessaires à la formation d'un ouragan. Une étude menée par Geophysical Research Letters a mis en évidence que le réchauffement climatique pouvait influencer cette structure atmosphérique, créant des conditions plus propices à l'intensification rapide.

Impacts de l’eau douce fluviale (« couche barrière ») : la « couche barrière océanique » désigne des panaches d’eau douce de grande ampleur issus des grands fleuves (Amazone, Orénoque au Venezuela), qui s’étalent à la surface de la mer, empêchant la remontée des eaux océaniques plus fraiches qui pourraient affaiblir l’ouragan . Ce paramètre naturel vient, parfois, amplifier l’explosivité des ouragans comme dans le cas de Béryl.

Des ouragans plus explosifs, mais pas plus nombreux

Selon le GIEC (1), la décennie avec le plus grand nombre d'ouragans de catégorie 5 dans l’Atlantique est 2000-2009, avec huit ouragans de catégorie 5 : Isabel (2003), Ivan (2004), Emily (2005), Katrina (2005), Rita (2005) , Wilma (2005), Dean (2007) et Felix (2007). Les décennies précédentes avec le plus grand nombre d’ouragans de catégorie 5 (dont six se sont produits de 1930 à 1939) étaient les années 1930 et 1960.

On observe même une tendance planétaire à la baisse du nombre de phénomènes cycloniques (3), principalement due au ralentissement de l'activité dans l'ouest du Pacifique Nord, alors qu’ils sont en légère hausse dans l’océan Atlantique.

Le phénomène « d’intensification rapide » (IR) et brutale des ouragans est un processus durant lequel un ouragan gagne en force très rapidement sur une courte période, généralement plus de 55 km/h en moins de 24 heures. Ce phénomène est particulièrement dangereux, car il laisse peu de temps pour se préparer aux impacts. Des recherches récentes suggèrent que le réchauffement climatique pourrait jouer un rôle dans l'augmentation de la fréquence de ces événements (4). Ainsi, le 6ème rapport du GIEC (5) indique que l’intensité des cyclones tropicaux pourrait augmenter de jusqu'à 13% pour un réchauffement de +2°C. La plupart des études de modélisation prévoient une diminution (ou peu de changement) de la fréquence mondiale de tous les cyclones tropicaux combinés. Le rapport indique aussi que l’intensification rapide (explosivité) devrait également augmenter.

L'augmentation des températures de surface de la mer est l'un des principaux facteurs de cette explosivité. Lorsque la température de l'eau est plus élevée, l'évaporation est plus intense, fournissant plus d'humidité et de chaleur à l'atmosphère. Une étude publiée dans Nature Communications (6) en 2019 a révélé une corrélation entre les températures de l'océan et l'intensification rapide des ouragans, montrant que des eaux plus chaudes favorisent des augmentations soudaines de l'intensité des tempêtes.

Outre les variations de certains paramètres liées à l'évolution du climat, des cycles naturels peuvent aussi jouer un rôle important dans la formation des ouragans, notamment l’oscillation australe (alternance El Nino / la Nina).

A noter que tous les chercheurs ne sont pas unanimes sur le lien direct entre le réchauffement climatique et l'augmentation de l'intensité des ouragans. Certains scientifiques, comme ceux du National Hurricane Center (NHC), soulignent que les données historiques sont insuffisantes pour établir une tendance claire sur le long terme. Il semble y avoir plutôt un certain consensus sur l’augmentation de l’explosivité des ouragans (7) en lien avec le réchauffement climatique, mais pas sur l’évolution de leur nombre, et cette tendance pourrait donc s’accroître à mesure que les températures globales continuent de grimper.

(1) Weather and Climate Extreme Events in a Changing Climate (en anglais)

(2) An Assessment of the Caribbean Sea ’s Upper Ocean Influence on Air-Sea Interaction during Tropical Cyclones (en anglais)

(3) Trends in Global Tropical Cyclone Activity : 1990–2021 (en anglais)

(4) Observed increases in North Atlantic tropical cyclone peak intensification rates (en anglais)

(5) Climate Change 2021- The Physical Science Basis / Table TS.2 p67 (en anglais)

(6) Recent increases in tropical cyclone rapid intensification events in global offshore regions (en anglais)

(7) Global increase in major tropical cyclone exceedance probability over the past four decades (en anglais)

Partagez cet article
À lire aussi
logo VIP
  • Paramètres premium
  • Bulletin détaillé sur 7 jours
  • Sans pub
  • TV Live et vidéos exclusives

Articles les plus lus