Ouragan Gabrielle et ondes tropicales sous surveillance : activité cyclonique soutenue dans l’Atlantique
Gabrielle s’est intensifié très rapidement dans l’Atlantique subtropical, devenant un ouragan de catégorie 4, tandis que deux ondes tropicales sont sous surveillance pour un possible développement. Voici les scénarios météorologiques concernant l'évolution prévue de ces phénomènes.
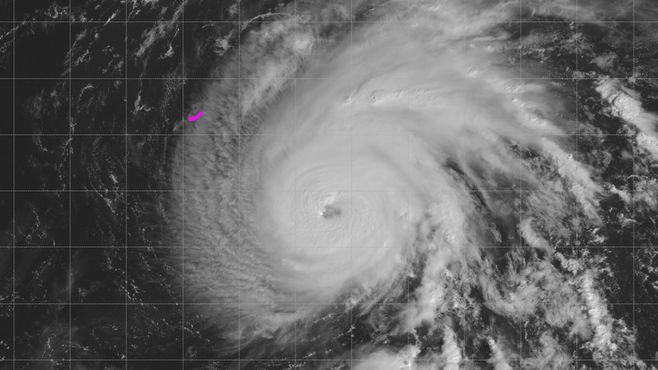
Gabrielle est actuellement le système le plus puissant sur l'Atlantique © cyclonicwx.com
Gabrielle : intensification rapide et trajectoire estimée
- Ce mardi :
L’ouragan Gabrielle en Atlantique est désormais un cyclone de Catégorie 4 avec des vents soutenus d’environ 140 mph (≈220 km/h) et une pression centrale proche de 948 mb, il se trouve au sud-est des Bermudes, s’élève vers le nord-nord-ouest, devrait passer à l’est des Bermudes, puis entamer un affaiblissement en se dirigeant vers des eaux plus froides.
Les prévisions le font passer à l’est des Bermudes, sans toucher directement les terres de cet archipel. Gabrielle devrait par la suite subir un virage vers le nord-est / est-nord-est dans les jours à venir, sous l’influence d’un flux d’altitude des latitudes moyennes qui prendra le relais pour orienter sa trajectoire. Gabrielle pourrait amorcer une transition extratropicale vendredi, alors qu’il se rapprochera de la région des Açores. L'évolution ultérieure est encore incertaine, mais la trajectoire médiane devrait le mener vers la Galice (nord-ouest de l'Espagne), vers le Cap Finisterre.
L'#ouragan #Gabrielle situé au large des Bermudes remontera en fin de semaine vers l'Europe. Bien que certains modèles météorologiques n'excluent pas une trajectoire jusqu'en France, il est plus probable qu'il s'affaiblisse au large des Açores, provoquant un redoux chez nous ????? pic.twitter.com/WXuVzFtDn1
— La Chaîne Météo (@lachainemeteo) September 22, 2025
Ondes tropicales sous surveillance : potentiel futur et risques localisés
En parallèle, deux ondes tropicales dans l’Atlantique sont aussi observées de près, même si leur évolution reste incertaine sur le court terme. La première onde, située à l’est des Petites Antilles, génère actuellement des averses et orages désorganisés, parfois forts sur la Guadeloupe en ce début de semaine. Le risque de formation tropicale semble assez faible à court terme, mais pourrait s'accroitre sous sept jours. Cette onde se déplace vers l’ouest / ouest-nord-ouest, et pourrait infléchir sa trajectoire vers le nord-ouest plus tard dans la semaine. Si elle s’organise, son développement pourrait survenir près des Bahamas ou plus à l’ouest dans l’Atlantique sud-ouest.
La seconde onde, plus éloignée dans l’Atlantique central (vers la zone des îles du Cap-Vert), présente un profil plus propice au développement. Actuellement, les conditions lui sont plus favorables — eaux chaudes, moins d’air sec, cisaillement modéré à faible — ce qui lui donne une chance significative de se renforcer en dépression tropicale au cours des prochains jours. Le National Hurricane Center (Centre National de suivi des Ouragans aux États-Unis) lui attribue environ 20 % de probabilité de formation sous 48 heures, mais cette probabilité grimpe à environ 70 % sur sept jours.
Trajectoires possibles de Gabrielle jusqu'au week-end © La Chaine Météo
La saison cyclonique dans l’Atlantique reste active, malgré une période calme antérieure. Gabrielle constitue actuellement la menace la plus importante. Les Bermudes, les côtes de l’est américain, l’Atlantique nord et les Açores devront surveiller ses effets secondaires (houle, courants dangereux, vents en mer). C'est son évolution à plus long terme en direction de l’Europe qui est déjà scrutée. En effet, après sa transition extratropicale, Gabrielle pourrait remonter vers le nord-est de l’Atlantique et influencer la météo en Europe occidentale (vents forts, houle, épisodes pluvieux intenses). La France métropolitaine pourrait donc être indirectement concernée par ses "restes" ou ses interactions avec les systèmes dépressionnaires déjà présents sous nos latitudes. Cette perspective reste à affiner, mais justifie une attention accrue pour la fin de semaine et le début de semaine suivante.